【建築条件なし】東村山市青葉町3丁目 土地 東京都東村山市青葉町3丁目|2,990万円の土地
| 価格 | 2,990万円
値下がり
月々の返済額※下記のシミュレーション結果です。
|
||||
|---|---|---|---|---|---|
| 所在地 | 東京都東村山市青葉町3丁目
この地域周辺の物件を見る |
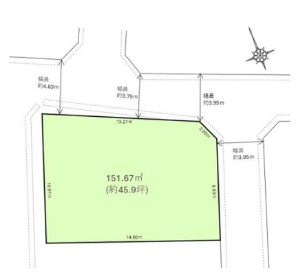
土地面積 | 151.67m² (45.88坪) | 坪単価 | 65.17万円 /坪 |
| 交通 |
JR武蔵野線 新秋津 徒歩23分
西武池袋線 秋津 徒歩28分 |
建ぺい率 | 50 % | 容積率 | 100 % |
詳細を知りたい方、お問合せはお気軽に!
お問合わせNO:RHS-B01836-026278
| 特徴 |
|
|---|---|
| セールスコメント | 【敷地ポイント】 ・建築条件なし売地 ・土地面積 約46坪 ・角地 【アクセス】 ■JR武蔵野線「新秋津」駅 徒歩19分 ■西武池袋線「秋津」駅 徒歩24分 ・約46坪のゆとりある敷地面積 ・開放感あふれる角地の立地 ・建築条件なし売地のため、お好きなハウスメーカーで建築可能 ・陽当たりや風通しの良さが期待できる住環境 ・駐車スペースや庭など多彩なプランに対応可能 ・落ち着いた住宅街に位置し、穏やかな暮らしが叶います ・生活利便施設も利用しやすい立地 |
| 建築条件 | - | 土地権利 | 所有権 |
|---|---|---|---|
| 現況/引渡し | 更地/相談 | 接道状況 | 接道: 北東 私道 道路幅: 3.7m 接道: 東南 私道 道路幅: 3.9m |
| 私道負担面積 | - | セットバック | - |
| 地勢 | 地目 | 宅地 | |
| 用途地域 | 第一種低層住居専用地域 | 都市計画 | 市街化区域 |
| 法令上の制限 | - | 国土法届出 | 不要 |
| 取引態様 | 仲介 | ||
| 情報更新日 | 2026年05月04日 | 次回更新日 | 2026年05月18日 |
| 小学校区 | 東村山市立青葉小学校 (東京都東村山市) この学区の他の物件を見る |
中学校区 | 東村山第六中学校 (東京都東村山市) この学区の他の物件を見る |
|---|
詳細を知りたい方、お問合せはお気軽に!
お問合わせNO:RHS-B01836-026278
| 価格 | 万円 | ||
|---|---|---|---|
| 年利率 | % |
||
| ボーナス払い | 返済年数 | ||
| 頭金 | 直接入力する | 万円 | |

毎月のご返済額 |
ボーナス(×年2回) |
物件価格2,990万円 |
詳細を知りたい方、お問合せはお気軽に!
お問合わせNO:RHS-B01836-026278
Shop
約46坪のゆとりある角地。落ち着いた住宅街に誕生する建築条件なし売地